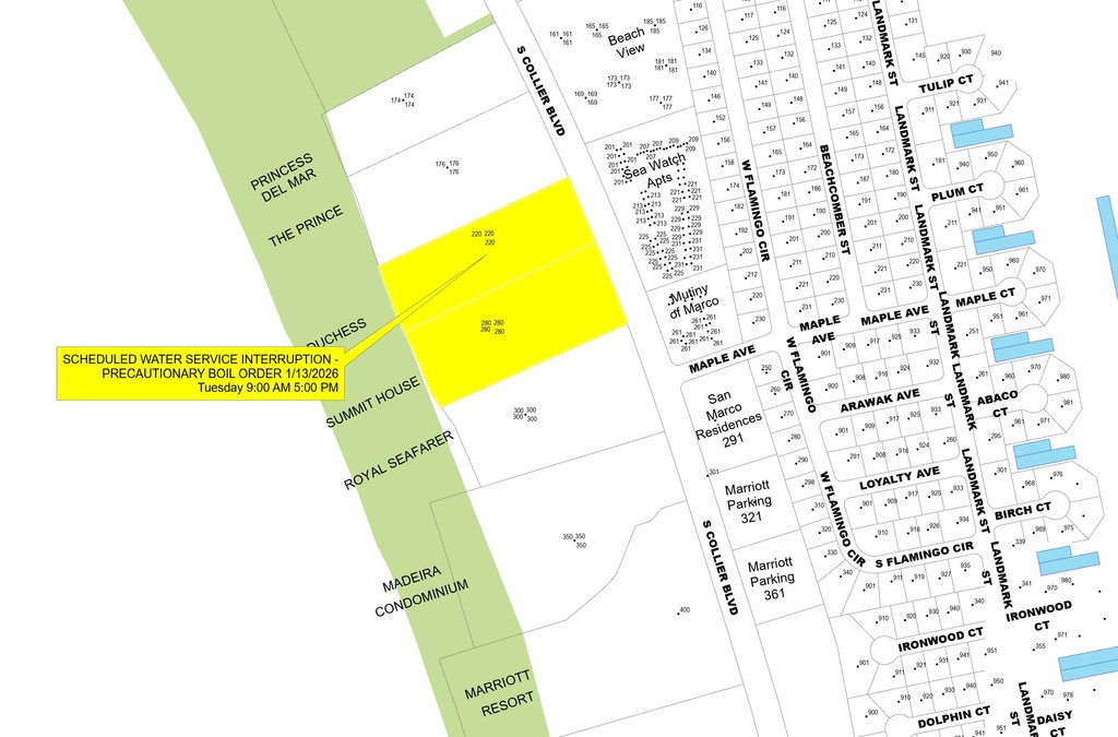
WEDNESDAY 1.14.26 SCHEDULED WATER SERVICE INTERRUPTION 9AM TO 5PM - AREA 600 S COLLIER BLVD - PRECAUTIONARY BOIL WATER NOTICE IN EFFECT UNTIL NOTIFIED


Reminder to pay water bills and register online.

Construction Update



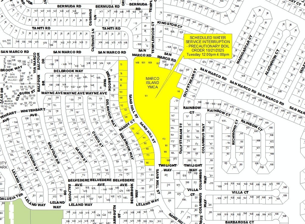
AMI - ADVANCED METER INFRASTRUCTURE - EXPECTED WORK DATES - 12/10/25 - 1/8/26 FOR THIS AREA
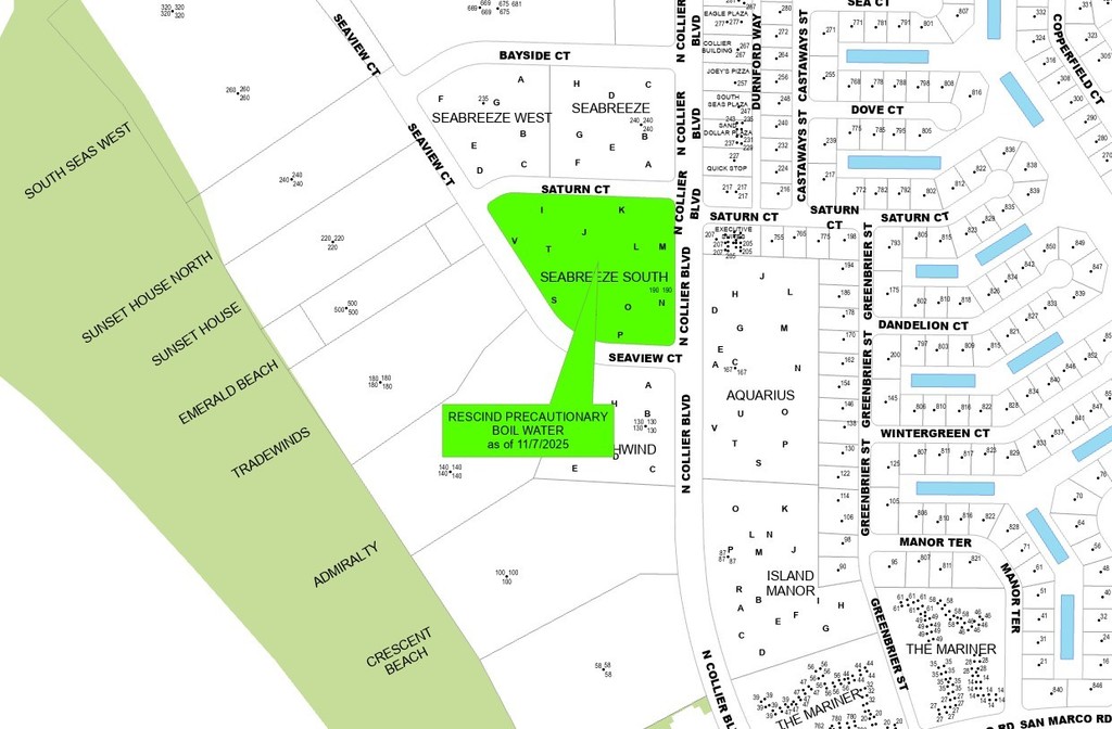
SEARCH YOUR AREA - GIS MAP https://marco.maps.arcgis.com/apps/mapviewer/index.html?webmap=ea7dd1f3ba3d4e26b298562cca43498b


1. There will be no turns from Collier Blvd. or Barfield Dr. at the intersection.
2. There will be one lane of continuous traffic southbound on Collier Blvd. through the Barfield intersection (no stopping and no turns at the intersection).
3. There will be two lanes of continuous traffic northbound on Collier Blvd. through the Barfield intersection (no stopping and no turns at the intersection).
4. The traffic signal lights will be deactivated and covered to accommodate through traffic only on Collier Blvd. (no stopping and no turns at the intersection).
5. The pedestrian crossing flashers will be deactivated and covered at the intersection. Pedestrians and bicyclists should cross at the Collier Blvd./E. Elkcam Cir. intersection.
6. Barfield Dr. will be closed from Lilac Ave., north of Collier Blvd. to 6th Ave., south of Collier Blvd. Access to those homes on Barfield beyond the “road closed” signs will be provided (no thru traffic).
7. Motorists traveling northbound on Barfield Dr. will be detoured to 6th Ave. Those needing to access Collier Blvd. coming from the south on Barfield will take 6th Ave. to Yellowbird St. to turn right on Collier.
8. Motorists traveling southbound on Barfield from the north will be detoured onto E. Elkcam where they can access Collier Blvd to turn left at the light.
9. Residents that live in the N. Barfield area and adjoining streets from Lilac Ct. to Redwood Ct. will need to use E. Elkcam or Bald Eagle to access Collier Blvd.
10. Message Boards will be posted on Barfield Dr. and Collier Blvd. on the approaches to the intersection.
The purpose of this new traffic plan is to keep traffic flowing on Collier Blvd by restricting turns on/off Barfield and by turning off the traffic signal at the intersection. This traffic pattern will likely be in effect throughout the rest of the calendar year.
The intersection improvement project is currently in the first phase which includes the replacement of underground water and reclaimed water mains with valves, tie-ins, service connections, deflections, and all associated restoration. The follow-on phases will include new traffic signals, controllers, poles, roadways, medians, sidewalks, and extended turn lanes to improve traffic flow and safety. The total timeline is one year with the first four months of work being done during the day, and the remainder of the project being done during nighttime hours.
The updated Maintenance of Traffic Plan is attached. Questions about this project can be directed to Public Works at 239-389-3992 or by emailing publicworks@cityofmarcoisland.com. As the project progresses, the City will provide updates to the community on the timeline and next steps.
We recognize this will be a difficult project as most residents and visitors traverse this main intersection, but once completed, it will improve traffic flow and safety significantly. We appreciate your patience and ask drivers to plan for delays and drive with caution in the work area.

Beginning Sept 8th, work at the intersection of N. Collier Blvd. and N. Barfield Drive will begin. This is a year-long traffic improvement project. Most of the work will be done at night, except for the first 3-4 months which will be done during the day, Monday-Friday from 7am – 7pm. It will involve one lane closure southbound on Collier Blvd. For individuals who drive to the Island for work and must report at a certain time, please allow time for traffic delays. The Goodland Bridge/San Marco Rd. may serve as an alternate route. For residents going on/off the Island, plan accordingly.
